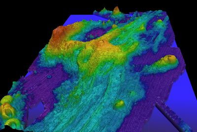
A submarine volcano off the coast of the Pacific Northwest of the US is set to blow in 2025. Seamounts like this are providing scientists with the perfect opportunity to study the evolution of early life on Earth and the potential threat of deep-sea mining – that is, unless their equipment gets frazzled in the brewing eruption.
The rest of this article is behind a paywall. Please sign in or subscribe to access the full content.The Axial Seamount lies on the seabed of the Pacific around 480 kilometers (300 miles) west of Cannon Beach, Oregon. It’s nestled on the edge of the Juan de Fuca plate, a small tectonic plate that sits next to the Pacific Plate, the giant that’s responsible for hundreds of volcanoes that loop around the edge of the ocean.
Plonked precariously on a major tectonic boundary, this location is extremely volatile. Axial Seamount is considered to be the most active submarine volcano in the northeast Pacific, with recent eruptions occurring in 1998, 2011, and 2015.
Since late 2024, scientists have noticed the underwater volcano is starting to stir and its inner chambers are swelling like a bloated belly. By most guesses, it’s likely to erupt later this year – and it could be a big one.
I don't know of any other place, especially under the ocean, where we have such close monitoring going on.
Rika Anderson
We know this because Axial Seamount is incredibly well-connected to a sprawling network of sensors, cameras, and instruments, feeding scientists a constant stream of data on its condition. In fact, it might just be the most closely watched patch of ocean floor on Earth.
“They have laid down miles and miles of fiber optic cable that are connected from Newport, Oregon, all the way out to Axial Seamount. On that fiber optic cable, there are a whole bunch of deep-sea instruments that people have put on the sea floor to continuously monitor all kinds of things,” Rika Anderson, an associate professor at Carleton College’s department of biology, told IFLScience.
“The fiber optic cable provides Internet and power to all these instruments, so it’s on all the time, which is really cool. I don't know of any other place, especially under the ocean, where we have such close monitoring going on,” she added.

The Axial Seamount and the origins of life on Earth
Anderson is one of the many scientists who are using the equipment around the seamount for research. As a biologist who’s interested in how life evolves in tandem with its environment, the Axial Seamount is an ideal natural laboratory.
“We think that hydrothermal vents were a likely site for the earliest steps of the origin of life,” she explained.
“Vents have been around for a really, really long time. When we try to reconstruct what the earliest type of life may have looked like, a lot of people think that hydrothermal vents could have been an important site for those early microbes. They may have been heat-loving. They may have required things like iron, sulfur, and fool’s gold. These could have been really important for the early stages of the origin of life. And you find all those things in hydrothermal vents,” Anderson added.
The threat of deep-sea mining
The upcoming eruption will also provide the chance to see how deep-sea microbial communities bounce back after a major upheaval. This instance will be natural, but the seabed is becoming increasingly threatened by the prospect of deep-sea mining companies dredging the seafloor for lithium and other battery metals needed to power the “green revolution”. It’s unclear how such industrial scars might alter these hidden ecosystems, but the next blast from Axial Seamount could hold vital clues.
“It's cool to see how these microbes are going to respond to big perturbations like eruptions, because we're also disturbing these deep-sea environments through mining,” commented Anderson.
“How quickly do these microbes respond? Are they really slow? Some of these microbes take a long time to reproduce. How are they going to be impacted? We're interested in studying sort of anthropogenic effects like that,” she said.
An uncertain future
But the next blow-out could raise its own problems. While land-bound humans will be perfectly safe from the eruption, the Axial Seamount will flood the surrounding seabed with a flood of lava and other volcanic debris. If the scientific equipment lies within its path, many of the discoveries could be lost.
“I’m interested in understanding how those ecosystem changes might happen before and after an eruption. That would be super cool. That's assuming the instruments don't get fried. We don't know where the lava is going to come out,” Anderson added.
The sketchy situation is made all the more worrying by the recent financial cuts by the Trump Administration against the National Science Foundation and the Ocean Observatory Institute, which leave the future of this fascinating project (and many others like it) with an uncertain future.
“If the eruption does happen, we don't know how well we'll be able to continue the project afterwards, if things are destroyed. It's just a big unknown right now,” Anderson added.
“In fact, we don't know, even without interruption, how long this project will be able to continue because of all the funding cuts that have been happening. That's one thing that's on our minds a lot recently,” she concluded.





